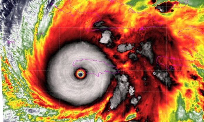
Τυφώνας «Μελίσσα»: Κατέρριψε το ρεκόρ ριπής ανέμου – Ταχύτητα άνω των 400 χιλιομέτρων την ώρα

Η αγριότητα της καταιγίδας έχει εισέλθει σε αχαρτογράφητα νερά, σαρώνει την Καραϊβική με αδιανόητη δύναμη

Ριπή ανέμου 405 χιλιομέτρων την ώρα (252 μιλίων/ώρα) καταγράφηκε στο νοτιοανατολικό τοίχωμα του ματιού του τυφώνα «Μελίσσα» την Τετάρτη (29/10), «σπάζοντας» το ρεκόρ για την ισχυρότερη ριπή που έχει ποτέ καταγραφεί σε τυφώνα.

Η αγριότητα της καταιγίδας έχει εισέλθει σε αχαρτογράφητα νερά, σαρώνει την Καραϊβική με αδιανόητη δύναμη. Ακόμη και οι πιο έμπειροι κυνηγοί καταιγίδων δεν έχουν ξαναδεί τέτοιες μετρήσεις.

Η «Μελίσσα» ξαναγράφει την μετεωρολογική ιστορία σε πραγματικό χρόνο — μια νηφάλια υπενθύμιση της ωμής και ασύγκριτης δύναμης της φύσης.

Πηγή: Forecastweather.gr


ΑΦΗΣΤΕ ΜΙΑ ΑΠΑΝΤΗΣΗ

Please enter your comment!
Please enter your name here